Mackenzie Rise - Mackenzie
This information is estimated by the OpenLot research team. Let us know here to provide up-to-date information about this development.
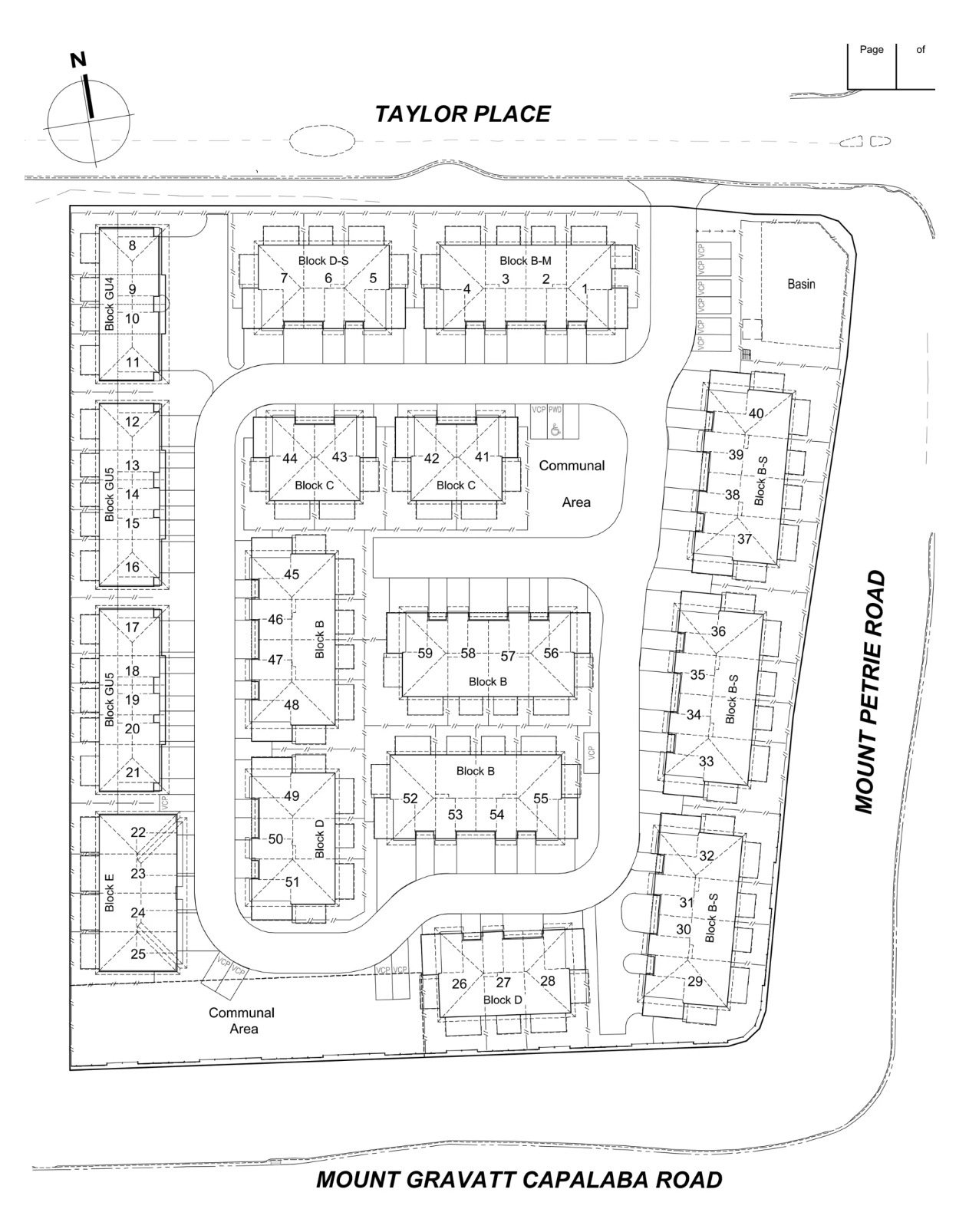
| Total new homes | 59 |
| Area size | 1.55 hectares |
| Growth Region | Greater Brisbane Growth Areas |
| City council | Brisbane City Council |
| Developer | N/A |
| Distance to | Brisbane CBD - 13 km south-east Brisbane Airport - 17 km south Gold Coast CBD - 59 km north-west |
Townhomes:
Popular Estates near Mackenzie Rise - Mackenzie
Updates for Mackenzie Rise - Mackenzie
Location & Map for Mackenzie Rise - Mackenzie
Visit Display Homes near Mackenzie Rise - Mackenzie
Vacancy Rate in Mackenzie QLD 4156
View full vacancy rate history in Mackenzie QLD 4156 via SQM Research.
Schools near Mackenzie Rise - Mackenzie
Here are 6 schools near Mackenzie Rise - Mackenzie:
Prep-6 Government Primary School
Prep-12 Government Special School
Prep-12 Independent Combined School
7-12 Government Secondary School
Prep-6 Government Primary School
Prep-12 Independent Combined School
Reviews & Comments on Mackenzie Rise - Mackenzie
Estate Brochure, Masterplan, Engineering Plan, Plan of Subdivision (POS), Design Guidelines
FAQs about Mackenzie Rise - Mackenzie
- Mackenzie State Primary School - 236m east
- Mackenzie State Special School - 236m east
- Citipointe Christian College - 1.3km north-west
- Mansfield State High School - 1.4km west
- Mansfield State School - 1.5km west
- Brisbane Adventist College - 2.2km west
Popular Estates near Mackenzie Rise - Mackenzie
Latest New Home Articles for You
01/Dec/2025 | OpenLot.com.au
Display Homes at Bushmead: Modern Living in Bushmead
If you love the peace and tranquillity of the Australian bush, you’ll fee...
27/Nov/2025 | OpenLot.com.au
Display Homes at Eden Beach: Premium Coastal Living in Jindalee
26/Nov/2025 | OpenLot.com.au
Display Homes Near Me (VIC): Your Complete Guide to Display Villages Across Victoria
Finding the right display home in Victoria has never been easier, with do...
24/Nov/2025 | OpenLot.com.au
🏡 New Neighbourhoods Season 1 Recap
From the outset, New Neighbourhoods sets out to explore Australia’s dynam...
24/Nov/2025 | OpenLot.com.au
🏡 Suburb Profile: Moss Vale
Moss Vale is a suburb of approximately 79.56 square kilometres within the...
21/Nov/2025 | OpenLot.com.au
Display Homes at Averley: Elevated Living in Nar Nar Goon North
Imagine a place where native bushland complements timeless architecture, ...
18/Nov/2025 | OpenLot.com.au
Display Homes at Exford Waters: True Riverside Living in Weir Views
Discover a lifestyle shaped by nature and connection at Exford Waters, wh...
17/Nov/2025 | OpenLot.com.au
Display Homes at Crownlea: A Lifestyle of Space in Warragul
Embrace the good life and enjoy the very best views in Warragul at Warrag...
13/Nov/2025 | OpenLot.com.au
Display Homes at Bluestone: A Showcase of Style and Innovation in Tarneit
Get ready to immerse yourself in a world of inspiration and design excell...













