Susan Street, Murray Bridge SA 5253 IN PLANNING
This information is estimated by the OpenLot research team. Let us know here to provide up-to-date information about this development.
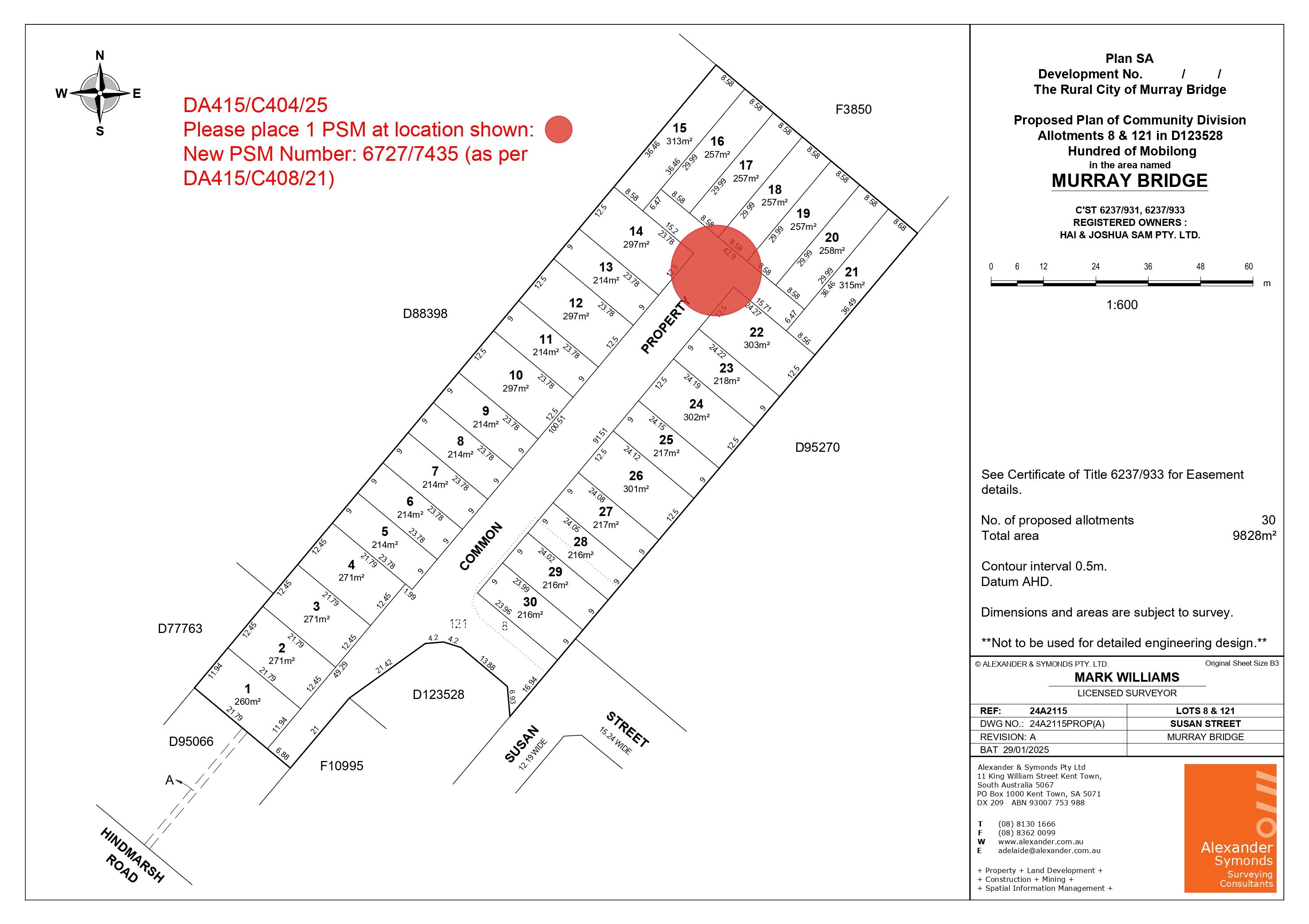
| Total new homes | 30 |
| Area size | 0.99 hectares |
| City council | Murray Bridge Council |
| Developer | N/A |
| Distance to | Adelaide CBD - 66 km east |
Townhomes:
Popular Estates near Susan Street, Murray Bridge
Updates for Susan Street, Murray Bridge
Location & Map for Susan Street, Murray Bridge
Vacancy Rate in Murray Bridge SA 5253
View full vacancy rate history in Murray Bridge SA 5253 via SQM Research.
Schools near Susan Street, Murray Bridge
Here are 6 schools near Susan Street, Murray Bridge:
R-6 Government Primary School
U, 7-12 Government Secondary School
R-6 Government Primary School
R-12 Independent Combined School
R-12 Independent Combined School
R-9 Catholic Combined School
Reviews & Comments on Susan Street, Murray Bridge
Estate Brochure, Masterplan, Engineering Plan, Plan of Subdivision (POS), Design Guidelines
FAQs about Susan Street, Murray Bridge
- Fraser Park Primary School - 773m east
- Murray Bridge High School - 1.3km north-east
- Murray Bridge South Primary School - 1.3km north-east
- Unity College - 1.8km east
- Tyndale Christian School Murray Bridge - 2.1km north-west
- St Joseph's School - 2.6km north
Popular Estates near Susan Street, Murray Bridge
Latest New Home Articles for You
27/Jan/2026 | OpenLot.com.au
Display Homes at Stockland Wildflower Estate: A Smart Community in Piara Waters
Welcome to Wildflower, a vibrant new neighbourhood nestled in the heart o...
16/Jan/2026 | OpenLot.com.au
South Australia Top 30 Most Searched Housing Developments (December 2025)
15/Jan/2026 | OpenLot.com.au
Queensland: Top 30 Most Searched Housing Developments (December 2025)
If you’ve been tracking housing demand across Queensland, December 2025 p...
14/Jan/2026 | OpenLot.com.au
Victoria: Top 30 Most Searched Housing Developments (December 2025)
If you’ve been exploring housing opportunities in Victoria, December 2025...
14/Jan/2026 | OpenLot.com.au
Display Homes at Apsley Estate: A Masterplanned Community in Mandogalup
Apsley is a bold, 1,800-lot masterplanned community just 25 minutes south...
13/Jan/2026 | OpenLot.com.au
Western Australia: Top 30 Most Searched Housing Developments (December 2025)
If you’ve been keeping an eye on housing demand across Western Australia,...
12/Jan/2026 | OpenLot.com.au
New South Wales: Top 30 Most Searched Housing Developments (December 2025)
If you’ve been considering making a move in New South Wales, December 202...
07/Jan/2026 | OpenLot.com.au
🏡 Top 30 Most Searched Estates by State - December
06/Jan/2026 | OpenLot.com.au
Display Homes Near Me (WA): Your Complete Guide to Display Villages Across Western Australia
Finding the right display home in Western Australia has never been easier...